Lebanon from Cruising Information Community


Author
Message
George.Curtis2 (Past OCC Member)
George.Curtis2
New Member (16 reputation)New Member (16 reputation)New Member (16 reputation)New Member (16 reputation)New Member (16 reputation)New Member (16 reputation)New Member (16 reputation)New Member (16 reputation)New Member (16 reputation)
Group: Past Members
Posts: 0, Visits: 1
[color=#ff0000]This report has been posted on the OCC Forum to preserve this historic data when the Cruising Information Community site is closed. It is not intended to encourage skippers to sail in waters which have now become more dangerous from piracy and conflict. Skippers considering sailing in these waters are strongly advised to obtain up to date information on the up to date local security situation.[/color]

This information has been contributed by and is intended for use by competent amateur yachtsmen as general guidance solely to supplement research of their cruising plans.It has not been checked or verified by the OCC. The Information may be inaccurate or out of date and is NOT TO BE USED FOR NAVIGATION.


Flying Fish Articles



Lebanon, PEACE AT LAST (in 1995) Mark Scott, Lone Rival Oct/Nov 1995

TRIPOLI 34º28 '.8N 35º49 'E
JOUNIEH 35º59 'N 35º36 '.5E
SIDON 33º34 '.5N 35º21 '.5E
TYRE 33º18 'N 35º12 'E


Lebanon is unique among Arab countries in part due to its diverse mix of religions and cultures. This fact sparked and perpetuated a civil war lasting seventeen years. It pitted Muslim against Muslim and Christian against Christian as well as Muslim against Christian. As the home of the Phoenicians, sailing from both Sidon and Tyre, it is a country with an intimate tie to the sea. For the yachtsman it offers an opportunity to travel inland to the extraordinary ruins of Baalbeck in the Bekka valley, or ski in the Lebanon mountains during winter. For those that visit Lebanon soon there is the ghoulish sight of the physical destruction of Beirut. Although the city may be rebuilding at a remarkable rate, the emotional devastation seen in the faces of its inhabitants will take much longer to heal.
Visas

Visas are required by all nationalities, other than Syrians. However, it is common practice to issue a ‘port pass ' to those arriving by sea. Technically there is no charge for the issuance of the port pass.
Currency

The Lebanese currency (LL - Lebanese lira) has stabilised since the end of the war at about LL1600 = US$1. It is divided into the following denominations: LL50, 100, 500, 1,000, 10,000, 5,000, 20,000, 50,000, 100,000. There is no coinage as the smaller bills are of such low value. Used interchangeably with the US$, prices in stores are often marked in either LL or US$. A cash advance is possible with most major credit cards.
Provisioning

There are a couple of large supermarkets in Jounieh with a broader selection of foods than you might find in neighbouring Cyprus. The prices are about the same, with some items being a bit more and some a bit less. You will not find wine in boxes, but for those who smoke, prices for cigarettes seem ridiculously cheap at about US$6 per carton of Marlboro.
Practicalities

There are five (5) ports of entry into Lebanon. From North to South they are: Tripoli, Jounieh, Beirut, Sidon and Tyre. With the exception of Jounieh, which is a private harbour, vessels moored within the harbour lights are charged a monthly rate based upon Net Registered Tonnage. The lowest category is for vessels from 1-1000 tonnes, at a rate of just under US$100.00 for the first thirty days. If sailing between one port and another, technically one must travel twelve miles offshore in international waters and re-enter on a due east course. In practice, however, permission can generally be obtained from the navy to proceed within three miles of the shore. Clearance between Lebanese ports must be obtained prior to leaving from immigration, customs, the harbourmaster and the navy. (Clearance from the navy can be obtained on VHF Ch 11.) The marine facility at Jounieh belongs to the Automobile and Touring Club of Lebanon (ATCL). It is a private club and offers its facilities to visiting yachtsmen. There are additional smaller yacht harbours at several locations north of Jounieh as part of the resort/hotel complexes along the shore. However, these are not ports of entry. Entry into Lebanese waters should only be attempted during the hours of daylight and only after obtaining permission from the navy.
Formalities

Mandatory pilotage is not required for vessels with a NRT of less than 50 tonnes. Clearance must be obtained from immigration, customs, harbourmaster and the navy. Health inspections seem to be waived for pleasurecraft. Immigration will issue a shore pass for crew without visas. There should be no charge during normal working hours of 0800 to 1400, Monday - Saturday.

TRIPOLI * 34º28 '.8N 35º49 'E

Chart: SHOM 5601, Baie de Tripoli, and 1:25,000

Approach

You should notify ‘Oscar November ' on VHF Ch 16 or 11 while still in international waters. If coming from the north stay east of the outlying islands. If arriving from the south one can use the Sanai Channel in settled weather and during daylight hours only.

General

Tripoli is a commercial and fishing port and as such has no facilities for yachts.

Berthing

It should be possible to anchor within the new fishing harbour breakwater, although it seems overcrowded with private moorings. When a north wind blows, it appears to be quite uncomfortable.

Formalities

Customs and immigration are in the same building located across the street from the customs wharf. The harbourmaster is across the street from customs and immigration.

Facilities: Not known.


[attachment=378]tripoli.jpg[/attachment]

JOUNIEH 35º59 'N 35º36 '.5E

Charts: BA 2653, Lattaquie to Sour and Famagusta, 1:300,000

Approach

Contact `Oscar Charlie ' on VHF Ch 11 while still in international waters (twelve miles offshore). Only after receiving a clearance number should you proceed, and on a due east course. The two red-and-white striped chimneys of the generating plant south of Jounieh can be seen from ten miles off. Proceed into Jounieh Bay. The marina breakwater will be obvious. Tie up at the fuel dock upon entering the marina to be cleared in and assigned a berth.

General

Jounieh is a predominately Christian enclave and a very wealthy part of Lebanon. You will find most of your shopping needs met along the road running parallel to the waterfront.

Berthing

Bow or stern to where indicated. Most transient berths do not have mooring lines so be prepared to use your own anchor. There are two seasons, each with its own berthing rate. The summer season is from 1 May to 31 October. Generally, the club will grant the first week of your visit free. Following that:

Week Sq Metre Multiplier US$/Day (for 11.6m x 3.75m)

1 Free

2 0.008 $ 3.48/day

3 0.015 $ 6.52

4 0.022 $ 9.57

5 0.030 $13.05

6 0.037 $16.09

7 0.045 $19.57

8 0.052 $22.62

9 0.060 $26.10

The winter season begins 1 November and does NOT include the first week free. The daily rate is based on overall length at US$0.60 per metre. Multihulls pay US$1.00 per metre. Visiting yachts may stay as long as they like providing there is sufficient room.

Formalities

The ATCL charges a flat fee of US$80 per boat to clear in and out. They make all the arrangements with the harbourmaster, immigration and customs. You will be issued a shore pass even though you may have a visa. Passports will be retained by immigration until your departure.

Provisioning

There are two well-stocked supermarkets in town. Fresh produce is readily available from the numerous truck vendors and of much better quality than in the supermarkets.

Facilities

Diesel - at the fuel dock. Water - two water taps near each berth, blue for drinking water and red for washing and cleaning. Ice can be ordered from the local fish market.



SIDON * 33º34 '.5N 35º21 '.5E

Charts: SHOM 6091, Abords de Saida (Sidon), 1:25,000

Approach

Contact ‘Oscar Sierra ' on VHF Ch 11 when still in international (12 miles offshore) waters. Carefully navigate around Ziri Island either from the north or due west of the breakwater.

General

Sidon is for the most part a fishing port. The coastal freighters that call in here still tie up to the end of the harbour wall. The old city is only a step away from the fishing harbour and is a maze of narrow winding passageways and authentic Arab souks (markets).

Berthing

Tie up inside the harbour wall. It can be very uncomfortable with the wind blowing out of the north or northwest.

Formalities

The harbourmaster, customs, and immigration are all in the same building across the street from the fishing port.

Facilities: Not known.


[attachment=379]sidon.jpg[/attachment]


TYRE 33º18 'N 35º12 'E

Charts: SHOM 5614, Mouillage de Sour (Tyre), 1:20,000

Approach

One must approach from the north and remain east of shallow patches and rocks which extend more than a mile north of harbour entrance.

* Harbours I have NOT entered by sea.

** Harbours I have NOT visited.


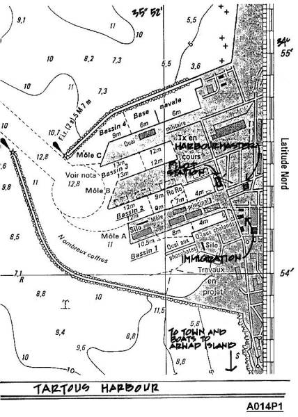
The report also includes plans for Tartous and

[attachment=380]tartous.jpg[/attachment]

and Arwad Island

[attachment=381]arwad_island.jpg[/attachment]
Attachments
tripoli.jpg (518 views, 68.00 KB)
sidon.jpg (482 views, 63.00 KB)
tartous.jpg (489 views, 60.00 KB)
arwad_island.jpg (498 views, 38.00 KB)
GO

Merge Selected

Merge into selected topic...



Merge into merge target...



Merge into a specific topic ID...




Threaded View

Login

Search